EXPLORE
DATA
Species
Species lists
Regions
Datasets
Occurrence records
EST
Species
Species lists
Regions
Datasets
Occurrence records
EST
✕
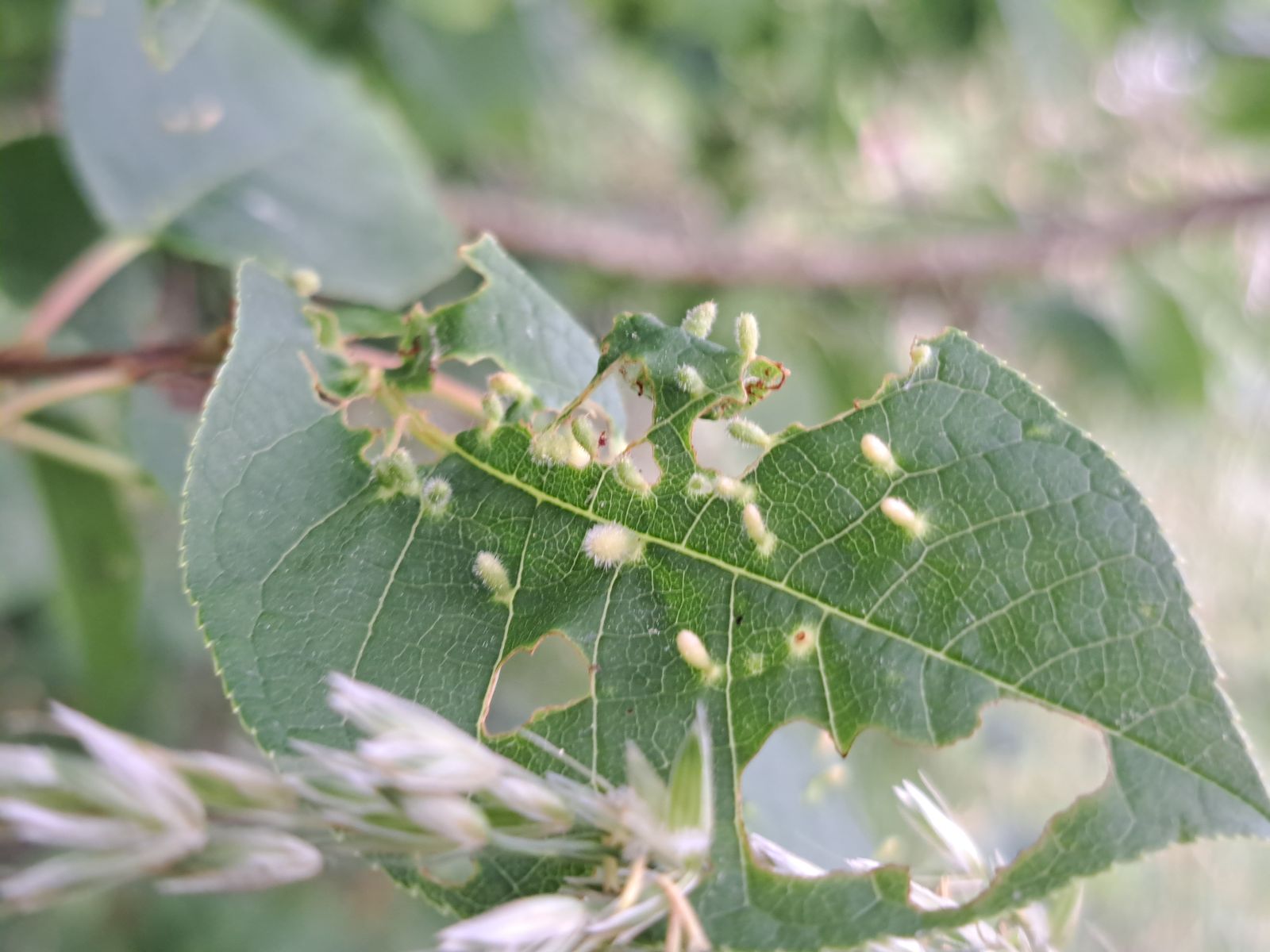
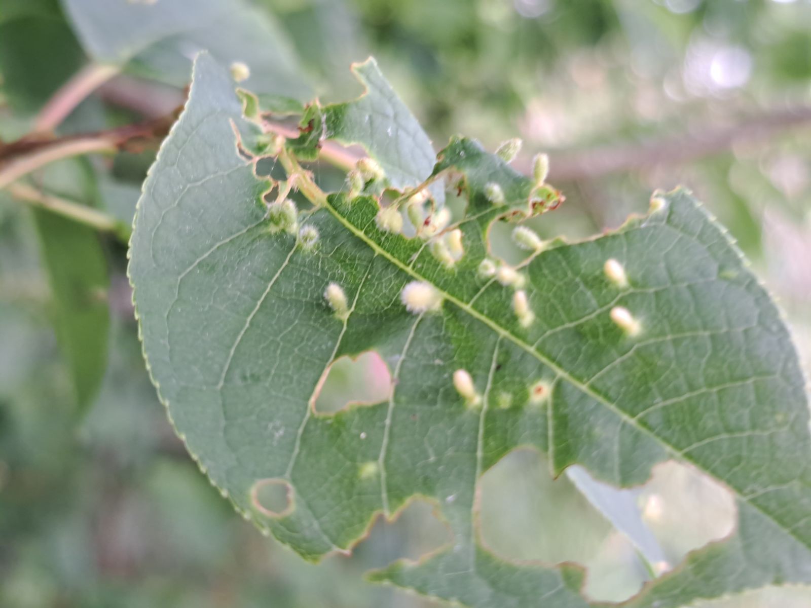
Phyllocoptes eupadi
Observation
Occurrence search
In PlutoF
Taxon name
Phyllocoptes eupadi
(species)
ID
22036052
Lineage
kgd
Metazoa
>
phy
Arthropoda
>
cls
Arachnida
>
ord
Trombidiformes
>
fam
Eriophyidae
>
gen
Phyllocoptes
>
sp
Phyllocoptes eupadi
Collectors
Kadri Prants
2024-06-08 15:50:00
Identified by
Kadri Prants
Project
Üle-eestiline loodusvaatluste maraton 2024
Dataset
PlutoF occurrences
Measurements
Individual count
1
Creators
Kadri Prants
License
Attribution-ShareAlike (CC BY-SA)
Rights
Kadri Prants
Latitude
59.52484486
Longitude
25.13962425
Country
Estonia
County
Harju maakond
Municipality
Jõelähtme vald
Locality
Neeme küla
Communes
Jõelähtme
2x2 km IUCN grid
13614
Districts
Harju maakond
EEA reference grid for Estonia (10km), May 2013
10kmE517N413
10x10 grid
04-30
Eesti omavalitsused
Jõelähtme vald
Birdatlas 5x5km Estonia
LF9095 - Ülgase
Date loaded: 2025-12-04